Aktuelle Bauleitplanverfahren der Gemeinde Krummhörn
Bekanntmachung über Inkrafttreten der 1. Änderung des Bebauungsplans Nr. 0537 „Greetsieler Grachten II“
Der Rat der Gemeinde Krummhörn hat in seiner öffentlichen Sitzung am 27.11.2025 die 1. Änderung des Nr. 0537 „Greetsieler Grachten II“ als Satzung gemäß § 10 Abs. 1 Baugesetzbuch (BauGB) sowie die Begründung mit Umweltbericht beschlossen. Der Satzungsbeschluss wird hiermit gemäß § 10 Abs. 3 BauGB ortsüblich bekannt gemacht. Mit dieser Bekanntmachung tritt der Bebauungsplan in Kraft.

Bekanntmachung der frühzeitigen Öffentlichkeitsbeteiligung gemäß § 3 Abs. 1 BauGB zur 2. Änderung des Bebauungsplanes Nr. 1217
Der Verwaltungsausschuss der Gemeinde Krummhörn hat in seiner Sitzung am 24.11.2025 den Beschluss zur frühzeitigen Beteiligung der Öffentlichkeit gemäß § 3 Abs. 1 BauGB gefasst und gilt hiermit als bekannt gegeben.
Während der Veröffentlichungsfrist, vom 09.12.2025 bis einschließlich zum 09.01.2026 wird Allen Gelegenheit gegeben, sich zu der Planung zu äußern und sie zu erörtern. Die Stellungnahmen sollen elektronisch an die Mailadresse pollmann@krummhoern.de oder zur Niederschrift abgegeben werden.

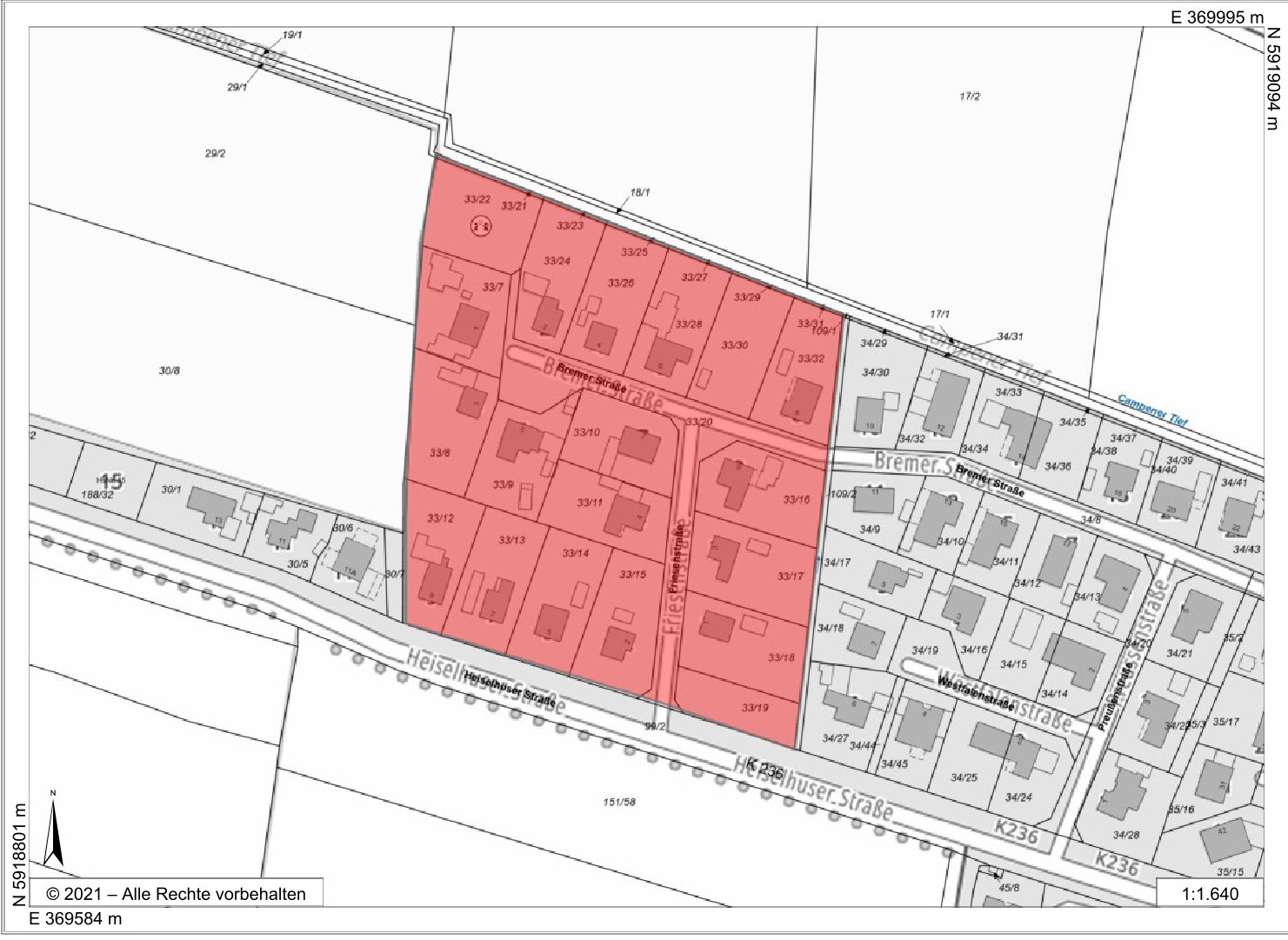
Bekanntmachung frühzeitige Öffentlichkeitsbeteiligung 2. Änd. 1217
2. Änd. BPlan 1217 Pewsum Begründung
2. Änd. BPlan 1217 Schalltechnische Stellungnahme
Bekanntmachung der Öffentlichkeitsbeteiligung gemäß § 3 Abs. 2 BauGB zum Bebauungsplans 1229 „Berliner Straße“
Der Verwaltungsausschuss der Gemeinde Krummhörn hat in seiner Sitzung am 04.11.2025 den Beschluss zur Beteiligung der Öffentlichkeit gemäß § 3 Abs. 2 BauGB gefasst und gilt hiermit als bekannt gegeben.
Während der Veröffentlichungsfrist, vom 11.11.2025 bis einschließlich zum 11.12.2025 wird Allen Gelegenheit gegeben, sich zu der Planung zu äußern und sie zu erörtern. Die Stellungnahmen sollen elektronisch an die Mailadresse pollmann@krummhoern.de oder zur Niederschrift abgegeben werden.

Bekanntmachung §3 Abs.2 BauGB – 1229
Abwägung §3 Abs.1 u. § 4 Abs.1 BauGB – 1229
Artenschutzbeitrag – B-Plan 1229
Biotoptypenkartierung B-Plan 1229
Bekanntmachungen anderer Behörden
Öffentliche Bekanntmachung Flurbereinigung Großes Meer
Für die Flurbereinigung Großes Meer, Landkreis Aurich, wird hiermit die vorzeitige Ausführung des Flurbereinigungsplanes gemäß § 63 des Flurbereinigungsgesetzes (FlurbG) in der zurzeit gültigen Fassung angeordnet.

2025-11-14_Vorzeitige Ausführungsanordnung-VA_gesiegelt
Öffentliche Bekanntmachung eines Genehmigungsverfahrens nach dem Bundes-Immissionsschutzgesetz
Windpark Sommerpolder GmbH & Co. KG (Az.-2418/2025)
Aktuelles aus der Bauleitplanung
Städtebauliches Entwicklungskonzept für den Ortsteil Greetsiel

Am 19.12.2024 hat der Rat der Gemeinde Krummhörn das Städtebaulichen Entwicklungskonzept Greetsiel beschlossen.
Die Präsentation können hier heruntergeladen werden: Präsentation
Allgemein
Der Bebauungsplan enthält die rechtsverbindlichen Festsetzungen für die städtebauliche Ordnung. Er bildet die Grundlage für weitere, zum Vollzug dieses Gesetzbuchs erforderliche Maßnahmen. Der Bebauungsplan ergibt sich aus dem Flächennutzungsplan.
Innenbereich
Gemäß dem Baugesetzbuch ist innerhalb der im Zusammenhang bebauten Ortsteile ein Vorhaben zulässig, wenn es sich nach Art und Maß der baulichen Nutzung, der Bauweise und der Grundstücksfläche, die überbaut werden soll, in die Eigenart der näheren Umgebung einfügt und die Erschließung gesichert ist. Die Anforderungen an gesunde Wohn-und Arbeitsverhältnisse müssen gewahrt bleiben; das Ortsbild darf nicht beeinträchtigt werden. Genaueres kann im Baugesetzbuch §34 nachgelesen werden. §34 Baugesetzbuch
Außenbereich
Der Außenbereich umfasst alle Flächen und Grundstücke, die außerhalb des Geltungsbereichs von qualifizierten Bebauungsplänen liegen.
Die Reglementierung von Bauvorhaben im Außenbereich erfolgt durch das Baugesetzbuch. Grundsätzlich darf im Außenbereich nicht gebaut werden, allerdings gibt es bestimmte Ausnahmen von dieser Regelung. Diese können im Baugesetzbuch nach §35 nachgelesen werden. §35 Baugesetzbuch